Modeling with IEC 61709
IEC 61709, "INTERNATIONAL STANDARD Electronic components - Reliability - Reference conditions for failure rates and stress models for conversion," published in 2017, can be used in Relyence Reliability Prediction to adjust reference failure rates. If you want to adjust failure rates per IEC 61709, check Use IEC 61709 Failure Rate Conversion in the Reliability Prediction Properties.
Adjustment of failure rates per IEC 61709 is supported within Relyence Reliability Prediction for all cases, except the following:
- Parts using any of the Parts Count Calculation Models (MIL-HDBK-217 FN2 Parts Count, ANSI/VITA 51.1 Parts Count 217Plus: 2015, Notice 1 Parts Count, Chinese GJB/z 299C Parts Count)
- Parts using the Mechanical NSWC-11 Calculation Model
- Parts using the SN 29500 Calculation Model
- Parts with any of the following Category values:
- Mechanical
- Miscellaneous (exception: it is supported for Lamps)
- Rotating Devices
- Connections
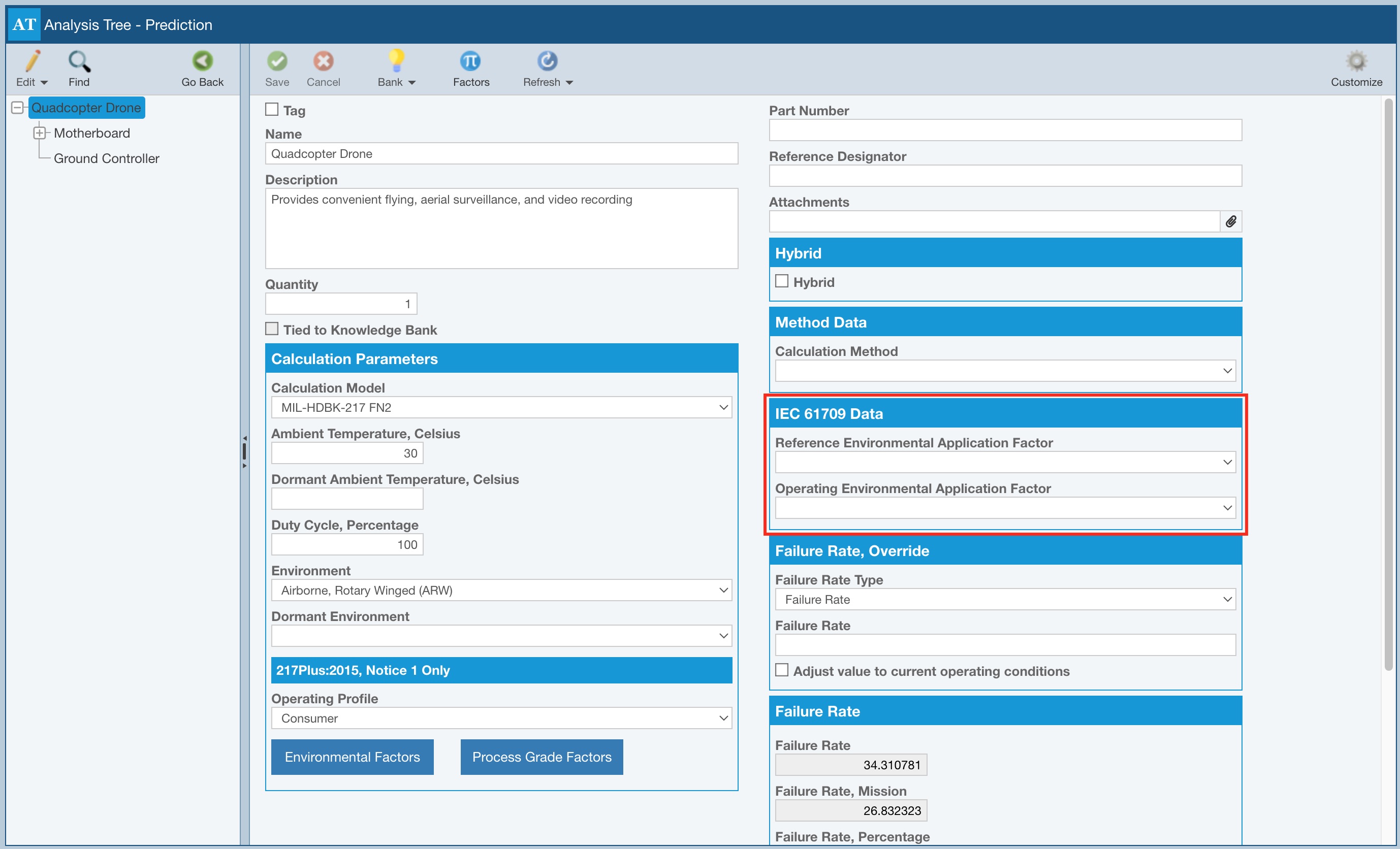
Setting IEC 61709 Data for Analysis Tree Items
When you have indicated you want to use the IEC 61709 failure rate conversions, the IEC 61709 Data properties will appear on the Properties pane for each Analysis Tree item.

As applicable, assign the following properties:
- Reference Environmental Application Factor - the environmental application factor for the system or subsystem in the environment for which the reference failure rate data is determined; choices include E1 - Stationary, Weather Protected, E2 - Stationary, Partial or No Weather Protection, and E3 - Portable, Non Stationary
- Operating Environmental Application Factor - the environmental application factor for the system or subsystem in the operating environment; choices include E1 - Stationary, Weather Protected, E2 - Stationary, Partial or No Weather Protection, and E3 - Portable, Non Stationary
Setting IEC 61709 Data for Parts
When you have indicated you want to use the IEC 61709 failure rate conversions, you must also set IEC 61709 details on the Part Form for each part.
If you have IEC 61709 data for the Part in question, select Device has IEC 61709 Data.
Note that since SN 29500 and IEC 61709 share similar methodologies, you cannot add additional IEC 61709 data for Parts modeled with SN 29500.
As applicable, assign the data to the fields that appear.

Reviewing Predicted Failure Rate Results and Related Factors
When IEC 61709 Data is used, the Pi Factors dialog shows both the factors used to calculate the failure rate per the specified Calculation Model as well as the IEC 61709 Factors.
